14 апреля 2026

Для терминала ВСМ переработают проект планировки привокзальной площади. Ее размер и очертания изменились

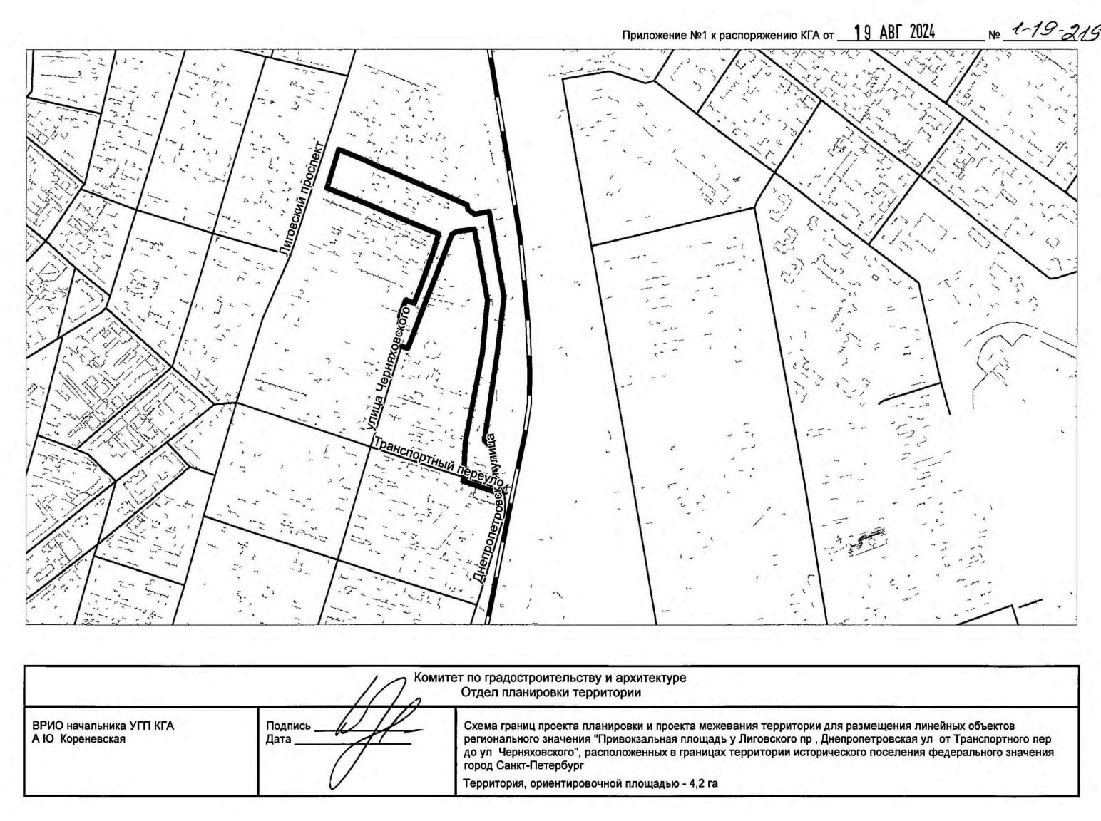
На новое постановление комитета по градостроительству и архитектуре о подготовке проекта планировки территории обратил внимание «Деловой Петербург». В документе не упоминается метрополитен, заметили в издании NSP.

Детали. Предыдущее распоряжение от 2024 года было отменено в марте: проект не успели подготовить в срок. Он истек 21 февраля. Ориентировочная площадь увеличилась с 4,2 гектара до 4,7, также изменилась геометрия территории. Теперь проект должны подготовить к марту 2027 года. КГА принимает замечания и предложения до 1 июля 2026 года.

Метро. В июле в Смольном показали, как будет выглядеть вестибюль станции метро «Лиговский проспект — 2». В конкурсе победил проект «СТУДИЯ-17». Станция разрабатывается как как связующее звено между метрополитеном и будущим терминалом ВСМ. Строительство планируют завершить в 2028 году, одновременно с терминалом железнодорожной магистрали Санкт-Петербург — Москва.

Снос зданий. В начале марта КГИОП согласовал снос шести зданий Кокоревских складов. 23 марта корреспондент «Бумаги» показал кадры начала сноса. Ранее власти уверяли, что исторические здания сносить не будут, а впишут в новый вокзал. Градозащитники борются за судьбу складов Кокоревых в суде, после первого сноса они подали жалобу в Верховный суд. Ранее для строительства ВСМ в сентября снесли старейшее здание в Купчине и рынок на улице Салова. Также ради строительства ВСМ могут снести Фарфоровский мост. В январе демонтировали плиты моста, исторические фермы пока сохранены.

Электрички. Из-за строительства терминала ВСМ конечную станцию электричек Московского и Волховстроевского направлений навсегда перенесут с Московского вокзала. Уже с июля их переведут на станцию Рыбацкое и Ладожский вокзал, узнали градозащитники из ответа «РЖД». Затем электрички будут приходить на новый пригородный вокзал, который построят на станции Волковская

ВСМ — скоростная железнодорожная магистраль между Москвой и Петербургом, которую Владимир Путин поручил построить в 2019 году. На ее строительство выделили 628 миллиардов рублей. Магистраль обещали запустить к 2030 году. Предполагается, что после строительства ВСМ путь из Петербурга в Москву будет занимать 2 часа 15 минут. В августе 2024 года Градсовет одобрил архитектурный облик терминала ВСМ. КГИОП также согласовал проект.

Фото: старое и новое постановления КГА 🔗

💚 Подпишитесь на наш инстаграм — там мы публикуем новости и истории о жизни в Петербурге

Если вы нашли опечатку, пожалуйста, сообщите нам. Выделите текст с ошибкой и нажмите появившуюся кнопку.
Подписывайтесь, чтобы ничего не пропустить
Все тексты
К сожалению, мы не поддерживаем Internet Explorer. Читайте наши материалы с помощью других браузеров, например, Chrome или Mozilla Firefox Mozilla Firefox или Chrome.